V Trávníku a Naději se mokřadům říká bažiny. I.část

V Trávníku a Naději se mokřadům říká bažiny.
I. část
Vítáme všechny členy našeho Spolku Trávník a Naděje a jeho příznivce na prvních letošních stránkách Zpravodaje, který v novém vydání vstoupil do třetího roku své existence. Uplynulý rok byl pro nás všechny rokem náročným, zejména pro to, že téměř dva roky zápasíme s kovidovou pandemií. Trávnicko-nadějská zima již po několik roků neoplývá přívaly sněhu a pro ty z nás, kteří na chaloupky zajíždíme v zimních měsících jen občas, nastala v lednu spíše doba plánování a příprav na sezónu. To se týká i našich přátel v místě usedlých, kterým můžeme závidět, když napadne sníh a začne svítit slunce. To i odklízení sněhu je příjemnou činností.
Abychom dodrželi zimní ráz tohoto čísla, použijeme alespoň fotografii z doby, kdy sněhu bylo v našich vesničkách více než dost.

Obr. č. 1-Únor 2017
V tomto lednovém vydání využijeme možnost zamyslet se nad důsledky některých jevů, které se nejen v přírodě Lužických hor stále častěji vyskytují, ale které nás přímo postihují, ohrožují a přinášejí obavy z důsledků na budoucnost přírody v okolí.
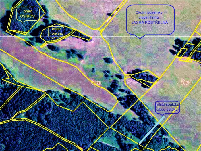
Jednoduše popsáno SUCHO a DÉŠŤ.

Obr. č. 2
V prvním novoročním čísle časopisu TÉMA je inspirativní rozhovor s profesorem Ing. Petrem Skleničkou CSc., rektorem České zemědělské univerzity v Praze. Hlavním tématem tohoto rozhovoru je boj se suchem a ničivými dešti. Co se dá, a co je nutné udělat.
I v Trávníku a Naději jsme zažili ničivé tornádo v květnu r. 2010. Jeho následky jsou vidět na obr. č. 1, na leteckém snímku z následujícího roku. Součástí tornáda byl prudký přívalový liják, jehož obdobu jsme zažili v našich vesničkách již častokrát.
Prof. Sklenička vidí řešení těchto problémů zejména v nutnosti snižování povrchové teploty tzv. tepelných ostrovů, kterými jsou vedle velkých měst také velká odvodněná mnoho hektarová pole, vytvářením rybníků a mokřadů, kde je to možné.
Povšimněte si na obr. č. 1jak vypadají plochy po odklizení polomů, cest k nim a povrchu místy dobytkem vydupaných vyprahlých pastvin. Tloušťka drnu i povrch půdy pod borůvčím v lese, je nějakých 20-30 cm a pod ním písek, který vodu neudrží. Z obrázku je to dobře vidět. Po dvanácti letech již tyto jizvy vidět nejsou, ale hrozba trvá.

Obr. č. 3-Trávník-1960
Vraťme se ještě jednou k obr. č. 1. Je na něm označeno devět míst, o kterých „od nepaměti“ víme, že zde příroda vytvořila přirozené zásobníky vody v místní krajině vědoma si toho, že té vody bude vždy potřeba. A nejen to. Je jich víc, ale ty co jsme na mapě vyznačili, jsou těmi nejvýraznějšími. Dnes mají přírodovědné pojmenování mokřady, dříve se jim říkalo bažiny, močály a těm kde převládaly stromy „téměř“ ve vodě, to jsou lužní lesy.(Lužní les (luh) je podmáčený les s vysokou hladinou podzemní vody a záplavovým cyklem. Tento dříve běžný biotop mizí s rostoucí regulovaností vodních toků….Wik.)
Není zde v záběru největší umělá vodní plocha patřící k Trávníku a Naději, kterou je přehrada v Naději. Její význam byl v zásobování vodou mlýny a pily v Hamerském údolí, ale patří k regulaci vody v lese a v potoce. K přehradě se znovu někdy vrátíme.
Trávník na letecké fotografii z r. 1960 (obr. č. 3). V této době zde na polích hospodařilo JZD Trávník. Zde již jsou velké plochy polí, některé meze s cestami jsou zachovány. Pole však ustoupilo bažině T1, to nad silnicí také. Pramen potůčku podtéká silnici a napájí bažinu.

Obr. č. 4 a č. 5
Ve výše připomenutém článku v časopisu se nehovoří jen o velkých plochách. Spíše o množství takových ploch v přírodě. Naše starší generace si dobře pamatuje, jak vypadaly bažiny v počátku padesátých let. Byly daleko vodnatější, rozlévaly se do široka proti svahům. Projít se daly jen v místech zavedených cest. Rostla na nich nejlepší tráva a vysekávaly se kosou. Byly průtočné a nehnily. Dobře zadržovaly deště.
Na obr. č. 2 je první velká bažina, námi označená T1 na jižním okraji katastru Trávníku pod Zeleným vrchem. Dnes je zde rozlehlá pastvina, ale dříve zde byla pole. Na letecké fotografii z r. 1960 se pole v horní části bažině vyhýbá. Po cestě mezi poli a přes bažinu se chodilo po modré značce nakupovat pěšky do Cvikova. Dnes jsou zde ohradníky. Bažina č. T1 je dobře vidět (obr. č. 4), je tmavěji zbarvená, táhne se od silnice hluboko do údolí. Na obr. č. 5 je pohled od silnice. Tato část byla v počátku sedmdesátých let odvodněna. Říká se tomu meliorace. V dolní části je vidět brouzdaliště vytvořené dobytkem.

Obr. č. 6
Na obr. č. 6 je …jak taková meliorace vypadá v reálu, plocha je pokryta trasami tzv. pér - dříve cihlové trubky, později plastové hadice s dírkami obsypané štěrkem, ta péra jsou souběžně od sebe 2-3m a ústí do tzv. hlavníku (silnější neperforované trubky), hlavníky ústí do melioračního potoka, někdy to byl nový umělý kanál, někdy stávající potok vyrovnaný a dlážděný. V době dešťové to odvodňovalo pole ale za dnešního sucha je funkce meliorací kontraproduktivní, odvádějí vodu, která by v poli měla zůstat. (z internetu)
Prameniště dolní části bažiny začíná nad silnicí a meliorace odvodnila svah údolí do svodné široké betonové roury a koryta po celé délce lesa.
Na obr. č. 7 je hlavní část bažiny. Určitě by se dala regenerovat, především zvýšením hladiny. Laika napadá, že by se zde mohl možná vytvořit i malý lužní les. Znamenalo by to vytvořit v naznačeném místě malou plochou hráz. Jako součást pastvin by zde mohlo být vytvořeno oddělené napajedlo. Do vytvořené a obnovené bažiny by dobytek neměl volně vstupovat. Proč, si řekneme ve druhé části článku.

Obr. č. 7
Obnova funkce této pastviny je podmíněna vlastnictvím pozemku. Všechny okolní pozemky včetně bažiny, jsou v soukromém majetku pastevecké firmy JAGRA Postřelná. Dříve patřily městu Cvikov. Budou-li na takováto díla směřovány státní dotace, pak by to pro JAGRU mohlo být zajímavé.

Obr. č. 8 a č. 9
Na obrázcích č. 8 a č. 9 se díváme na bažinu T3, u křižovatky dvou hlavních cest v dolním Trávníku. Leží na protékajícím Trávnickém potoce. Ten je v mapách zapsán jako bezejmenný. V dobách, kdy ještě nebyl zaveden v Trávníku vodovod, byl potok pro usedlé, kteří neměli studnu, hlavním zdrojem vody. Tehdy asi nevysychal. V dobách kolonizace, kdy Trávník-Krazhart vnikl (r. 1391), byl jednou z podmínek pro přežití. Je také více než pravděpodobné, že v místech současné bažiny byl dříve malý rybník s cestou po hrázi. Pamatujeme si, jak to asi vpadalo. V minulosti občas došlo k ucpání odtokové roury pod cestou a následně k vytvoření rybníku. Protože potok je již dlouhodobě ochuzen o trvalejší prameniště na trávnické stráni, často vysychá, proto je i bažina téměř vyschlá. Její obnovení je nepravděpodobné. Jsou zde dva pozemky se zbytky bouraček na okraji bažiny, oba jsou v soukromém vlastnictví.

Obr. č. 10 a č. 11
Bažina T4 leží pod silnicí do Cvikova, pod trávnickou návsí. Jejím hlavním zdrojem není Trávnický potok, který protéká v její spodní části. Je prameništěm malých potůčků, které vznikají i v dolní část trávnické stráně. Na obr. č. 10 je takové malé prameniště vidět, je rozšlapané stádem. Na některých místech se louka dříve nedala přejít. Obr. č. 11 je ze senoseče asi někdy před r. 1938, seno se sváží pro přilehlý statek čp. 26. Louka na bažině se vždy sekala, nyní se zde pase i více než stohlavé stádo krav. Pokud se nesekala, nebo nespásala, tak v celé šířce rychle prorostla tisíci bodláků.
V případě této v Trávníku dominantní plochy stále platí, že po velkých deštích, nebo z jara, zadržuje zmenšující se množství vody. Je třeba připomenout i jinou důležitou vlastnost bažin- mokřadů v přírodě.
Na jaře v době, kdy očekáváme příchod „zmrzlých“ se v tomto údolí často stává, že náhle nastoupí krátkodobé mrazy, které zničí pupeny a květy ořešáků, jabloní a sadby květin. V Trávníku přicházejí „zmrzlí“ i po 15. květnu. Je starou zahradnickou praxí, že sady a záhony, které se nakropily vodou, tuto pohromu občas přežily. Bažina s velkou zásobou vody ve velké ploše takovou ochranu poskytuje, „drží“ teplo. Tato vysychající, odvodněná a kopyty rozdrcená louka takovou sílu již nemá.
Pastvina je ve velké části soukromým majetkem fy JAGRA Postřelná. Pro tuto část pastviny by bylo asi nejlepším řešením vrátit jí přírodě. Nespásat, ale dvakrát do roka jí sekat. Tak jako v minulosti.
Vystoupali jsme na trávnickou stráň, na spodní okraj lesa.

Obr. č. 12
Letecký snímek (obr. č. 12) je z mapy roku 2019. Je na něm označená vodárna v Trávníku.
Vodovod byl vybudován v roce 1908. Do té doby byl Trávnický potok, pramenící na louce v místě, kde dnes stojí kobka vodárny, asi jediným nejsilnějším zdrojem pitné vody. Protékal celou hlavní částí vesnice. Studny v Trávníku jsou ojedinělé u největších statků v dolním Trávníku a jsou nejméně 12m hluboké. Jsou vysekané v pískovci. Trávnická stráň v místech potoka je naplavenina. Od Knesplovy brány tvoří podklad povrchu znělcové ploché kameny, mezi kterými si pramen vytvořil cestu daleko od kraje lesa. Knespelova rodina je z polí vysbírávala a stavěla zeď.

Obr. č. 13 a č. 14
Celý tento prostor kraje lesa až nad „zámeček“ je na jaře velkým prameništěm (obr. č. 1). Jeden z pramenů pod vodárnou je na obr. č. 13. V celé délce od vodárny (obr. č. 14) je při okraji lesa množství malých bažin, které jsou napájeny prameny z kopce. Jsou přírodními zásobníky vody rovnoměrně zavlažující rostliny níže na stráni.
Neznáme podrobnější historii vodárny a vodovodu, bylo to rozsáhlé samotížné vodohospodářské dílo vytvořené v rozlehlém údolí, ke škole a následně k několika chalupám na severní hranici Trávníku s Nadějí. Není také známo, proč byl vodovod vybudován jen pro Trávník. Na obr. č. 17 končil vodovod v chalupách na levé straně proti kapličce, která je již na straně Naděje.

Obr. č. 15
Vybudování vodovodu v Trávníku bylo asi nutné. Určitě také proto, že se zvyšovala životní úroveň původních obyvatel, a mít doma tekoucí pitnou vodu z kohoutku na konci roury byl v místě velký pokrok. Hlavním důvodem asi byla nedostatečnost stávajících zdrojů vody. V údolní části Trávníku je vrty prokázaný dostatek kvalitní vody až v hloubkách blízko sta metrů. Vodovod je technicky historickým dílem počátku dvacátého století, v té době bez elektrických čerpadel, s litinovým a olověným potrubím. Pro potřeby lidí moderní doby byl ale zdrojem nepostačujícím. To brzy zjistili dosídlenci po roce 1945 a noví majitelé chalup, kterým se říkalo rekreanti. To jsme byli my s rodiči. Vodovod byl kapacitně nejen nedostačující, ale i poruchový. V místech po zbořených chalupách unikala voda. Nedostatek vody ve vodovodní síti nastával často, když v nádrži ve vodárně pramen nepostačoval spotřebě. Ta rostla.

Obr. č. 16
Vysvětlovalo se to také „legendou“, která se objevuje ještě dnes. Údajně to bylo způsobeno vykácením lesa nad vodárnou. Tyto práce zničily koryta (zářezy), které přiváděly vodu do prameniště v lese nad vodárnou. Bohužel při každé současné těžbě se takto les poničí.
Dá se pochybovat, jestli to nebylo zjednodušení situace. Stav nouze ve vodojemu vodárny, je trvalý i v současnosti, kdy má vzrostlý les nad vodárnou největší plochu za posledních osmdesát let.
Na obrázku č. 15 je letecká fotografie okolí vodárny z r. 1938 (předprotektorátní). Pole sedláka Knespela zasahovalo hluboko a zeširoka do lesa nad prameništěm vodárny. Les na vrcholových částech hřebene Trávnického vrchu tvořila volná velká paseka. Na obr. č. 16 z r. 1950 je stejný pohled. V místě nad vodárnou je původní les a vlevo je zvětšená paseka kde proběhla těžba. Těžilo se spíše v období před r. 1945. Plocha těžby neleží v ose vodárny. Podobná situace je vidět i na obr. č. 3 z r. 1960.
Co říci závěrem. V Trávníku byla zřejmě ve všech dobách nouze o vodu. Nejen ve vodovodu, ale i v prostoru polí a luk. Lidé, kteří zde žili se naučili s vodou šetřit, zdroje vody ošetřovat a chránit. Mokřady-bažiny neodvodňovali, vědělo se, že půdě i počasí jsou prospěšné. Nemůžeme jim mít za zlé, že odvedli ve velké části vodu z původního potůčku do potrubí nové vodárny. Od těch dob potok v létě i vysychá.
Někdy na přelomu šedesátých a sedmdesátých let, kdy v létě vysychala i nádrž ve vodárně, se do vodojemu na kopci dovážela voda v cisternách. Často bylo zakázáno vodou i zalévat, o bazénech nemluvě.
V té době možná vznikla „legenda“ o důsledcích zaviněných těžbou.
Tehdejší správa Cvikova, městský Národní výbor, reagovala na nespokojenost občanů v Trávníku a zařídila zhotovení hlubinného vrtu délky asi sedmdesát pět metrů z prostoru vedle bývalé školy, odkud do potrubí k vodárně čerpadlo doplňovalo vodu do vodojemu. Později zde byla osazena bezdrátová regulace zapínání čerpadla na vrtu, pokud čidlo ve vodojemu signalizuje potřebu doplnění hladiny vody.

Obr. č. 17 Trávník-Naděje 2017
Ve II. části článku se zaměříme na zbývající mokřady-bažiny v Trávníku a Naději a na možnosti jejich obnovy. Je jen věcí lidí prosadit nápravná opatření k jejich obnově a jejich významné funkce v přírodě, stejně jako tomu bylo při zřízení vodárenského vrtu.
Protože tento lednový článek vychází na závěr prvního zimního měsíce v roce 2022, připomínáme si krásu zimy v Trávníku a Naději alespoň zimní náladou obr. č. 17.
Za Trávnicko-Nadějský zpravodaj
Administrátor
V Praze 28. ledna 2022
TÉMA 01/2022
Chraňte mokřady, mají v přírodě nezastupitelnou funkci a jsou dnes obnovovány - ČESKÉSTAVBY.cz (ceskestavby.cz)
Lužní les – Wikipedie (wikipedia.org)
meliorace- ve své době užitečné, nyní v podstatě škodlivé | TolunaISMS (vumop.cz)
ISMS (vumop.cz)